: 胡志明市, 第七郡, 富美坊, 15B街, ERA TOWN公寓, EA4.01-01號
028 66843500
+886 956918888
hotline
028 66843500 +886 956918888

專案介紹

欢迎来到超级热门建案
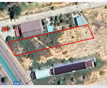
出售土地|位於堅江省富國市 Cửa Dương 社 Búng Gội 村
出售位於堅江省富國市楊蘇社的土地。
出售位於堅江省富國市楊蘇社的土地。
出售位於堅江省富國市楊蘇社的土地。
隆安省芹苴市隆厚工業園區
凱歡 PRIME:新興的不動產標誌——芽皮區
DatXanh Homes Riverside – 頂級生活象徵於守德市(Thủ Đức)
南福 Le Jardin 專案 – 第七郡綠意盎然的生活空間
Moonlight Boulevard公寓項目 – 現代生活的標誌,位於平新區
Celadon City:胡志明市頂級且可持續發展的生態都市典範
The Aurora:富美興高端生活與建築象徵
The Alta Height – The 9 Stellars 守德市:科技時代可持續城市化的標誌

免費諮詢 更新最新信息
输入您的信息以接收我们的建议
capcha
capcha
新闻 更新最新信息
胡志明市在2025年底将土地价格调整至高位
阮槐橋道路工程、胡志明市-莫拜高速公路以及胡志明市二號環狀路將同步開工。
稅務負擔減輕,但仍趕不上物價上漲
買賣房地產和車輛時,無需單身證明
總理指示將房地產價格降至適當水平
以手寫文件買賣的土地可獲得房產證
胡志明市合併後的新土地價格表發生變化
Vingroup 提議的芹椰地鐵線,造價 40 億美元
即使已撤回檔案,稅務局仍表示民眾仍須繳納土地稅。
胡志明市為民眾實施免除建築許可證
越南經濟規模顯著增長
房屋出租個人如何繳稅?
擴建胡志明市 - 隆城高速公路至 8-10 車道,仁澤橋通車
自由貿易區將成為胡志明市的新動力
胡志明市仍有近一半的項目問題尚未解決
胡志明市選定新行政中心建設地點 可供 7,000 名幹部辦公
胡志明市居民將搬遷以建設西貢河畔的生態都市區。
胡志明市建立允許短期住宿出租的公寓清單
胡志明市四號環線全力施工,帶動房地產投資
辦理房屋所有權證日益簡化
擔憂基於 75% 同意而收回土地可能壓制少數的議題
超級機場加速建設
房地產稅將導致投資需求下降
藉由課稅來降低房價是幻想
構建以地利和新內力為基礎的突破週期
試點在胡志明市地鐵站內銷售商品
擴大社會住宅購買範圍
國道 13 號周邊房價大幅上漲
对房屋售价征收 10% 的税,税款可能会直接计入房价。
低于 20 亿越南盾的公寓占比不到 7%。
许多地方的房价持续大幅上涨
边和 — 头顿高速公路施工,承包商进度滞后
继北宁之后,富美兴提议在富寿建设城市综合体。
公寓价格比 2024 年大幅上涨
投资者转向滨河地区房地产
胡志明市房地产协会建议降低土地租赁费计算比例
南方超级城市形成,哪些房地产板块吸引资金流入?
个体经营者注意:税务机关不会要求个体经营者更新信息
降低民众和企业的土地税
高铁项目同步启动土地征收工作
胡志明市批准乐天集团和 Vingroup 集团两个项目的土地价格。
纳税人在 eTax Mobile 上出现企业收入时该怎么办?
地铁开辟临时道路连接 Nhơn Trạch 桥和胡志明市 — 隆城高速公路。
过高的土地使用费给民众带来了沉重的负担。
房地产市场健康发展的解决方案
美国 8 月 1 日起对多国实施反制性关税
越南正在邁向征服全球第五大「經濟體」——海洋經濟。
開發商自主定價,社會住宅可能被抬高價格。
唐纳德・特朗普签署巨额法案,哈马斯准备进行停火谈判
民众担心地价将大幅波动。
空中别墅彰显高端人士的地位。
地铁吸引私人企业?
美国总统唐纳德・特朗普与越南中央总书记陶林通电话,确认将大幅降低关税。
平阳出现新加坡标准的经济适用房
銀行利率飆升
個人所得稅法的變革
民眾爭相辦理房屋土地相關手續
胡志明市地鐵增加班次以滿足合併後的出行需求。
自7月1日起,使用個人識別號碼取代稅號,無需重新申報。
越南正式將63個省市合併為34個省市
胡志明市公布數位轉型與科技發展計畫
禁止機車進入高快速道路匝道後,胡志明市交通大打結
開啟國土發展新格局的重要戰略工程
胡志明市在4月30日至5月1日連假期間 限制貨車進入市中心特定時段 以確保交通順暢
胡志明市即將啟動三大 TOD 開發專案——地鐵 2 號線周邊的城市更新新篇章
開放越南北部最大現代化深水港, 新機會助推國際出口市場
將省市併入胡志明市 - 經濟發展與吸引投資的新鑰匙
胡志明市4月30日大舉啟動與落成多項重大基礎建設工程:邁向東南亞現代化都市新典範
美國突襲式徵稅震撼全球!對越南課徵高達46%關稅——這是貿易保護還是全球對抗的前奏?
房地產向胡志明市西部轉移:基礎設施動力與城市發展戰略
房地產趨勢2025:政策與交通基礎設施驅動的轉型
發展胡志明市的商業住房:從政策與都市經濟視角評估試點機制
工業房地產依然... '熱火朝天' – 現在是投資的最佳時機/FTT Land Hotline/ Zalo/ Line 0812991003
 平陽房地產:穩定增長 - 投資黃金機會/FTT Land Hotline/ Zalo/ Line 0812991003
投資郊區房地產——精明且策略性投資者的黃金機遇| FTT Land熱線/Zalo/ Line ID: 0812991003
越南度假房地產:潛力與挑戰/FTT Land Hotline/ Zalo/ Line 0812991003
 外國人購買公寓的流程/FTT Land Hotline/ Zalo/ Line 0812991003
為什麼大家都喜歡富美興區(Phú Mỹ Hưng)第七郡的房地產?
是否應該投資越南房地產市場,特別是工業地產?
胡志明市房地產市場蓬勃發展
河內與胡志明市的高級住宅市場為何房價不斷上漲?
有哪些突出的綠色房地產項目?
越南同奈省成立土地使用權拍賣工作小組
越南房地產市場的新興力量——來自海外的資金流
越南龍城國際機場的建設突破,為台灣帶來新機遇
2024年初越南南部房地產市場土地需求上升
錄像片段 更新最新信息